This wonderfully turreted building adorns a street corner in Bloomsbury.

It is listed Grade II. According to the listing entry it was built in 1907-8 to designs of Joseph and Smitham, “for the Vestry of St Pancras”. St Pancras is a church on the nearby Euston Road.

Pevsner1 takes a different view. He associates this lodge with the terrace behind, which has the same domed turrets. He says:
FLAXMAN TERRACE, early St Pancras Borough Housing, 1907-8 by Joseph & Smithem. 6 storeys, with much conspicuously pretty detail: rough cast top floor and Art Nouveau railings. Similar features on the engaging little caretaker’s lodge at the corner of Burton Street
Pevsner, London 4 NORTH

You can see the redbrick terrace, mentioned by Pevsner, in the photo below, with its domed turret matching the turret on the lodge.

So, in Pevsner’s version, the designer Smithem has an “e” not and “a”, and this building is “an engaging little caretaker’s lodge”.
The “e” is correct. The architectural practice of Joseph and Smithem was founded by Nathan Solomon Joseph (1834-1909) and Charles James Smithem (1856-1937)2. The practitioners later included sons and a nephew of the founders. The practice designed a number of buildings in London including social housing, schools and the Egerton Road synagogue in Stamford Hill.
Now Flaxman Lodge appears to be a private house. Evidently at one time it was divided into flats. Planning permission to convert the flats into one “4 bed dwelling house” was granted by Camden Council in 2014, application reference 2014/1396/P

The property was last sold for £2,280,000 in 2017 (The Move Market)
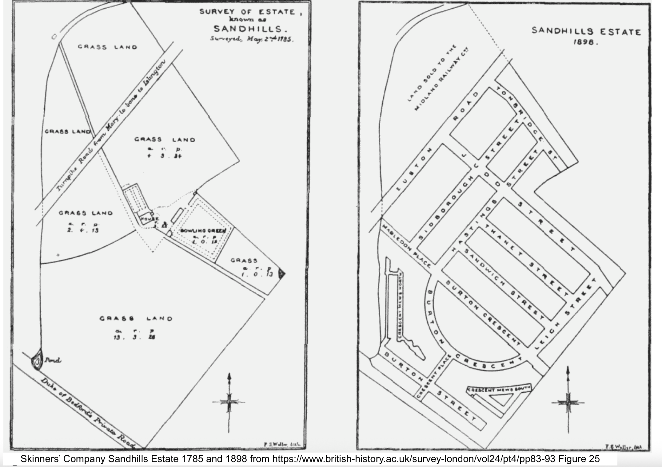
I sketched this building standing at the corner of Flaxman Terrace and Woburn Walk. “Woburn” would imply a possible burn or stream. Sure enough, the marvellous “British History Online” site delivers a map showing a stream in this location:

I was standing in roughly the position of the “pond” shown in the 1785 map on the left. At that time, I would have been surrounded by fields. By 1898, urbanisation had arrived, but not yet this Lodge. The routes of old byways and street boundaries are retained. Here’s a 1942 map3, by which time the Lodge has appeared. The street pattern of 100 years previously is still there.

under the terms of the Creative Commons Attribution (CC-BY) licence.
Link: https://maps.nls.uk/
For comparison, here is a modern map:

The former “Drill Hall” has become “The Place” contemporary dance centre, and many of the 19th century terraces have been replaced by larger buildings. But the street pattern is unchanged. Burton Street still follows the angle of a long-gone field fence.


- London 4: North, Bridget Cherry and Nikolaus Pevsner, 2001 reprint, page 330 ↩︎
- https://victorianweb.org/art/architecture/joseph/index.html ↩︎
- National Library of Scotland OS map:
“Somers Town Edition of 1911”
https://maps.nls.uk/view/231272247#zoom=4.2&lat=8319&lon=6377&layers=BT
↩︎
